
サンゴの島を満喫
日目は朝からどんより曇ってました。
とりあえす朝マズメを狙って白保の浜へ行きましたが、反応全くなし。
30分で切り上げシュノーケリングの準備です。
目次
まずは黒島周辺へ
8:30に石垣港へ集合し、チャーターした船に乗り込み出発しました。
いきなり豪雨となりましたが、どうせ海の中に入るので問題なしです。

30分ほどで黒島付近に到着。
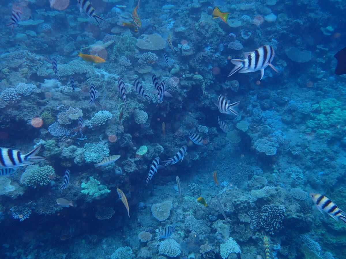
少し曇っていたので海の中は若干暗めですが、たくさんの熱帯魚が泳いでいます。

きれいな熱帯魚の中にひときわ大きい魚体が見えました。
泳ぐ速度もとっても早くて、カメラにやっと収めることができました。

カスミアジのようです。
おそらく、80cmくらいだったと思います。
いつかは、釣ってみたい石垣でガーラと呼ばれる、ロウニンアジ、カスミアジ、ギンガメアジたちです。
朝、8:30からスタートして11:30頃、黒島の近くで昼食です。

昼食は船上で八重山そばとおにぎり、デザートにはパイナップル。
冷えた体に温かい八重山そばは、とっても温まって疲れも吹き飛びます。
竹富島も熱帯魚いっぱい
昼食後は竹富島の近くへ移動しました。

黒島とは少し感じが違いますが、潮の流れも緩やかでいい感じです。
カクレクマノミも長女が潜って接写します。

ハナミノカサゴも優雅にひれを広げて泳いでいます。

楽しいことは夢中になって、時間が過ぎ去るのはとっても早く、15時ころに終了となりました。
デザートもトロピカルに
マンゴーにパイナップル。

本州ではなかなか手がでないお値段のものも、石垣島ならお手軽価格。
お腹いっぱいおいしい果物をいただきました。
旅写ル | たびうつる


石垣島旅行 住人50人日本の秘境、鳩間島で釣りを楽しむ? | 旅写ル
具志堅さんに見送られ石垣島から鳩間島へ。誰もいない海、ルアー投げ放題ですが...魚が釣れるかというと話は別です。気を取り直して釣れそうなところをビーチ伝いに散策…
3日目は鳩間島へ行きます。
つづく。

